
กรมอุตุนิยมวิทยา ประกาศเรื่อง พายุ “ดานัส” ฉบับที่ 13 (170/2568)
เมื่อเวลา 16.00 น. ของวันนี้ (7 ก.ค. 68) พายุโซนร้อน “ดานัส” บริเวณทะเลจีนตะวันออก ตอนบนของเกาะไต้หวัน โดยมีศูนย์กลางอยู่ห่างประมาณ 116 กิโลเมตร ทางทิศตะวันออกของมณฑลเจ้อเจียง ประเทศจีน หรือที่ละติจูด 27.0 องศาเหนือ ลองจิจูด 121.6 องศาตะวันออก มีความเร็วลมสูงสุดใกล้ศูนย์กลางประมาณ 83 กิโลเมตรต่อชั่วโมง
สรุปข่าว
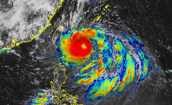
กรมอุตุนิยมวิทยา ประกาศเรื่อง พายุ “ดานัส” ฉบับที่ 13 (170/2568)
เมื่อเวลา 16.00 น. ของวันนี้ (7 ก.ค. 68) พายุโซนร้อน “ดานัส” บริเวณทะเลจีนตะวันออก ตอนบนของเกาะไต้หวัน โดยมีศูนย์กลางอยู่ห่างประมาณ 116 กิโลเมตร ทางทิศตะวันออกของมณฑลเจ้อเจียง ประเทศจีน หรือที่ละติจูด 27.0 องศาเหนือ ลองจิจูด 121.6 องศาตะวันออก มีความเร็วลมสูงสุดใกล้ศูนย์กลางประมาณ 83 กิโลเมตรต่อชั่วโมง
พายุนี้เคลื่อนที่ไปทางทิศเหนือ ค่อนทางตะวันออกเล็กน้อย ด้วยความเร็วประมาณ 15 กิโลเมตรต่อชั่วโมง คาดว่าจะเคลื่อนขึ้นฝั่งบริเวณด้านตะวันออกของประเทศจีนในช่วงวันที่ 8–9 กรกฎาคม 2568 พายุนี้ไม่เคลื่อนเข้าสู่ประเทศไทย และไม่ส่งผลกระทบโดยตรงต่อลักษณะอากาศของประเทศไทย แต่จะทำให้มรสุมตะวันตกเฉียงใต้ที่ปกคลุมประเทศไทยมีกำลังแรงขึ้น
ทั้งนี้ ขอให้ผู้ที่จะเดินทางไปบริเวณดังกล่าวโปรดตรวจสอบสภาพอากาศก่อนออกเดินทางไว้ด้วย
ข่าวที่เกี่ยวข้อง
- อัปเดตล่าสุด! เส้นทาง "พายุดานัส" กำลังเคลื่อนตัวไปบริเวณช่องแคบไต้หวัน
- พายุไต้ฝุ่น “ดานัส” ขึ้นฝั่งเกาะไต้หวันแล้ว แนะตรวจสอบสภาพอากาศก่อนเดินทาง
- พายุไต้ฝุ่น “ดานัส” ขึ้นฝั่งเกาะไต้หวันแล้ว แนะตรวจสอบสภาพอากาศก่อนเดินทาง
- พยากรณ์อากาศวันนี้ 7 กรกฎาคม 2568 ทั่วไทยระวังอันตรายจากฝนตกหนัก
- อัปเดตล่าสุด! เส้นทาง "พายุดานัส" กำลังเคลื่อนตัวไปบริเวณช่องแคบไต้หวัน
- ต้องกังวลไหม? พายุดานัสใกล้ไต้หวัน อากาศไทยเป็นอย่างไร
- พายุดานัส ฉบับ 8 ! เช็กเส้นทางพายุล่าสุด ทำมรสุมปกคลุมไทยกำลังแรงขึ้น
- พยากรณ์อากาศ 6 กรกฎาคม 2568 ฝนฟ้าคะนองทั่วไทย กทม.ตก 70%
- ฝนถล่ม “เท็กซัส” แม่น้ำเพิ่มสูง 8 เมตร น้ำท่วมค่ายฤดูร้อนพัดเด็กสูญหาย 23 คน
ที่มาข้อมูล : กรมอุตุนิยมวิทยา
ที่มารูปภาพ : AFP

