
สรุปข่าว
วันนี้ ( 9 ก.ย. 64 )สำนักงานอุตุนิยมวิทยาแห่งชาติเวียดนาม แจ้งว่า พายุโซนร้อนโกนเซิน ซึ่งกำลังจะทวีความแรงเป็นไต้ฝุ่น ได้เคลื่อนผ่านหมู่เกาะพาราเซล ในทะเลตะวันออก หรือรู้จักในชื่อ ทะเลจีนใต้ ด้วยความเร็วลมใกล้ศูนย์กลางของพายุ อยู่ที่ 75-90 กิโลเมตรต่อชั่วโมง และจะเคลื่อนตัวมายังอ่าวตังเกี๋ย คาดว่าไปทางทิศตะวันตกเฉียงเหนือในช่วงบ่ายวันเสาร์ที่ 11 ก.ย.นี้ ด้วยความเร็วลมใกล้ศูนย์กลางพายุ 100-120 กม./ชม. จึงขอแจ้งเตือนให้ชาวประมงติดตามข่าวพายุไต้ฝุ่นโกนเซินอย่างใกล้ชิด.

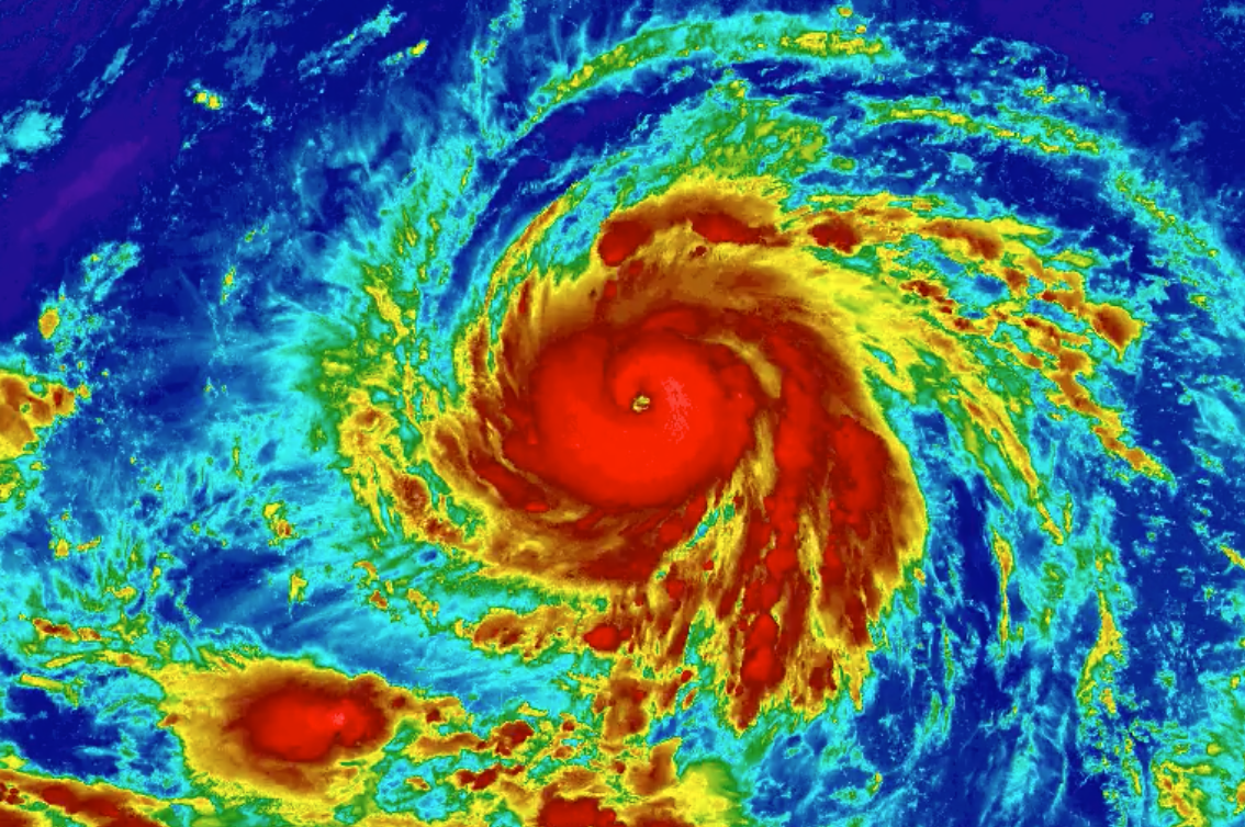
ขณะที่พายุจันทู (Chanthu) มีรายงานจากศูนย์เตือนภัยไต้ฝุ่นร่วม หรือ JTWC ว่า พายุจันทู ทวีกำลังแรงขึ้นอย่างรวดเร็ว กลายเป็นไต้ฝุ่นแรงสุดระดับ 5 หรือ “ซูเปอร์ไต้ฝุ่น” ไปแล้วเมื่อวานนี้ (8 กันยายน) ขณะที่อยู่เหนือน่านน้ำเปิดในทะเลฟิลิปปินส์ และนับเป็นซูเปอร์ไต้ฝุ่นลูกที่ 2 ของปีนี้ ทั้งนี้ ซูเปอร์ไต้ฝุ่นลูกแรกของปีนี้ คือ ไต้ฝุ่น “ซูรีแก” เกิดขึ้นเมื่อกลางเดือนเมษายนที่ผ่านมา
ขณะที่จีนออกประกาศเตือนไปยังมณฑลไหหลำ, มณฑลฝูเจี้ยน, มณฑลกวางตุ้ง, เขตปกครองตนเองกว่างซี และมณฑลเจ้อเจียง ให้เตรียมมาตรการรับมือพายุโซนร้อนโกนเซิน และพายุจันทู
ด้านกรมอุตุนิยมวิทยา ของไทย ออกประกาศเตือน"พายุโซนร้อน “โกนเซิน” ขณะนี้ ยังไม่กระทบไทย รวมถึงพายุ จันทู แต่หย่อมความกดอากาศต่ำที่ปกคลุม จะทำให้มีฝนตกทั่วไทยร้อยละ80ตั้งแต่วันนี้ ถึง 10 ก.ย. อย่างไรก็ตาม ยังต้องเฝ้าระวังอิทธิพลของพายุโกนเซิน ช่วงวันที่13-16 ก.ย.นี้
อิทธิพลของพายุโซนร้อน โกนเซิน (Conson) หรือในฟิลิปปินส์เรียกว่า “โจลิน่า” ก่อให้เกิดลมกระโชกแรง ฝนตกหนัก น้ำท่วมฉับพลันในหลายพื้นที่ หลังพัดผ่านเกาะหลายเกาะในฟิลิปปินส์ทำให้มีผู้เสียชีวิต 10 คน หลายคนเป็นชาวประมง และมีผู้สูญหายอีกจำนวนมากเมื่อวานนี้ (8 กันยายน)
ในกรุงมะนิลา เมืองหลวงฟิลิปปินส์ โกนเซินทำให้เกิดฝนตกหนักและน้ำท่วมเมื่อวานนี้ (8 กันยายน) ทำให้การเดินทางในกรุงมะนิลากลายเป็นอัมพาต ประชาชนใช้เวลาเดินทางกลับบ้านหลังเลิกงาน นานกว่า 1 ชั่วโมงครึ่ง เนื่องจากถนนทั่วกรุงมะนิลาถูกน้ำท่วมและรถติดอย่างหนัก
ขณะเดียวกัน ทางการ ฟิลิปปินส์ สั่งเฝ้าระวัง ไต้ฝุ่นจันทู ที่จะเคลื่อนตัวเข้าใกล้เกาะลูซอนและพื้นที่เหนือสุดของฟิลิปปินส์ในวันพรุ่งนี้ (10 กันยายน) โดยอาจอ่อนกำลังลงเป็นระดับ 4 ก่อนถล่มฟิลิปปินส์ ซึ่งจะทำให้เกิดฝนตกหนักบนเกาะลูซอน ซ้ำเติมเกาะลูซอนซึ่งได้รับผลกระทบจากโกนเซินอยู่แล้ว
จากนั้นคาดว่าจันทู จะเคลื่อนตัวต่อไปถล่มไต้หวันในสุดสัปดาห์นี้ ในขณะที่มีความแรงเทียบเท่าเฮอริเคนระดับ 4 เมืองที่ได้รับผลกระทบรวมถึงเกาสง และพื้นที่ทางใต้สุดของเกาะไต้หวัน และเคลื่อนตัวไปถล่มจีนต่อไปในช่วงต้นสัปดาห์หน้า
- นักศึกษาชาวจีนกล่าวสุนทรพจน์จบการศึกษา "ฮาร์วาร์ด" ฟาดทรัมป์แรง "ศัตรูก็คือมนุษย์"
- จีนเดือดโต้กลับทรัมป์ละเมิดข้อตกลงการค้า พร้อมเอาคืนเพื่อผลประโยชน์ประเทศ
- ล้าง "คำสาป" อายุ 35 หางานยาก-เลิกจ้าง จีนแก้กฎรับสังคมสูงวัย l World Wide Wealth
- อาเซียน-จีน ประชุมกรอบความร่วมมือใช้เอไอในงานสื่อมวลชน
- จีนประณามรัฐมนตรีกลาโหมสหรัฐฯ กล่าวหาใช้ไต้หวันเป็นเครื่องมือต่อรอง
- จีนเลิก "แบน" อาหารทะเลญี่ปุ่น จ่อนำเข้าอีกครั้ง
- "คนจีน" ไม่กล้าใช้จ่าย 80 % หันออมเงิน แม้ดอกเบี้ยต่ำ
ที่มาข้อมูล : -
TNNThailand
