แท็ก
ทนายความของอดีตประธานาธิบดีฟิลิปปินส์ แถลงต่อศาลไอซีซี ย้ำไม่มีหลักฐานโรดริโก ดูแตร์เต เชื่อมโยงคดีฆาตกรรมที่เขาถูกกล่าวหา
ICC เริ่มไต่สวนก่อนพิจารณาคดี “โรดริโก ดูแตร์เต” อดีตผู้นำฟิลิปปินส์ เจ้าตัวไม่รับอำนาจศาลพร้อมอวดภูมิใจผลงาน
"ซารา ดูแตร์เต" ประกาศลงเลือกตั้งประธานาธิบดีปี 2028
“เฝ้าคูหาจนล้มเผด็จการ” พลังมหาชนฟิลิปปินส์ เปลี่ยนประเทศได้อย่างไร
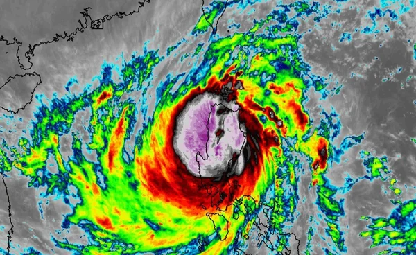
พายุ “เปญา” ถล่มฟิลิปปินส์ กลางฤดูหนาวในเดือนก.พ. เหตุการณ์ผิดปกติที่ไม่ได้เกิดบ่อย
พายุโซนร้อน “เปญา” จ่อถล่ม “ฟิลิปปินส์” 5-7 กพ.นี้
“นกแอ่น” พายุลูกแรกปี 69 ในมหาสมุทรแปซิฟิกตะวันตก คาดทำ “ฟิลิปปินส์” ฝนตกหนัก
“ดีเปรสชัน” ใกล้ฟิลิปปินส์ จ่อทวีกำลังเป็นโซนร้อน!
บ่อขยะฟิลิปปินส์ถล่ม เสียชีวิตเพิ่ม 6 ราย เจ้าหน้าที่เร่งค้นหาผู้เสียหาย
บ่อขยะฟิลิปปินส์ถล่ม คนงานเสียชีวิต 1 คน สูญหายกว่า 30 คน
กองขยะมหึมาถล่มที่เมืองเซบู ฟิลิปปินส์ เสียชีวิต 1 ราย
โบว์ลิ่งไทยคว้า 3 เงิน 1 ทองแดง พร้อมปิดฉาก "ซีเกมส์" ครั้งที่ 33
ชายหาดสาวไทย จบอันดับ 2 เสียแชมป์ ซีเกมส์ เป็นครั้งแรก!
ลูกยางหนุ่มไทยเข้าชิงตามคาด! เตรียมดวลแชมป์เก่า อินโดนีเซีย
โค้ชฟุตซอลหญิงพอใจผลงาน ย้ำลูกทีมให้ลงไปสนุกกับเกม
ฟิลิปปินส์ชี้ไร้หลักฐาน มือปืนกราดยิงหาดบอนได ไม่เคยฝึกฝนทางทหาร
ผลฟุตซอลหญิงซีเกมส์ 2025 : ฟุตซอลหญิงไทยทุบฟิลิปปินส์ คว้าเหรียญทองแดงซีเกมส์
ตบชายหาดสาวไทยแรงไม่หยุด ชนะฟิลิปปินส์ ทะลุชิงทองซีเกมส์
หนุ่มไทยโชว์แกร่ง! ตบเวียดนามขาด 3-0 เซต ซิวแชมป์กลุ่มเอ ลุยตัดเชือกซีเกมส์
"ชบาแก้ว" ฝึกซ้อมเข้ม! เตรียมพร้อมดวล ฟิลิปปินส์
"ตบสาวไทย" ซิวแชมป์กลุ่มเอ! ฟอร์มโหดไล่อัด ฟิลิปปินส์ 3-0
เบสบอลชายไทยพ่ายฟิลิปปินส์ รอล้างตารอบชิงฯ 12 ธันวาคม
ฟิลิปปินส์ประท้วงต้านทุจริต โครงการป้องกันน้ำท่วมที่ไม่มีอยู่จริง
ICC ปฏิเสธปล่อยตัว "ดูแตร์เต" ชั่วคราว หลังมีคำร้องเนื่องจากปัญหาสุขภาพ